Image

Odkrywanie ukrytych wymiarów precyzyjna detekcja i GPR w świecie skanowania 3D – case studies, które uratowały projekty

Image
30 grudnia 2024
BIM
Cyfryzacja
Skaning
źródło:

W dobie dynamicznego rozwoju technologii i wzrostu złożoności projektów budowlanych, potrzeba precyzyjnej wiedzy o podziemnej infrastrukturze nigdy nie była bardziej istotna. Ukryte sieci wodociągowe, gazociągi czy inne elementy infrastruktury są często nieudokumentowane lub błędnie naniesione na dostępnych mapach, co stwarza ryzyko uszkodzeń i nieplanowanych kosztów – często bardzo wysokich. Dlatego na świecie coraz popularniejsza staje się metoda Ground Penetrating Radar (GPR) – georadarowa technologia, która umożliwia szczegółowe, nieniszczące badanie struktury podziemnej.

Jednym z najczęściej stosowanych standardów jest PAS 128, brytyjska metodyka opracowana przez British Standard Institution (BSI), która ma na celu ujednolicenie podejścia do lokalizacji podziemnej infrastruktury. Obecnie – jako firma Scan 3D – dokładamy starań, aby zasady PAS 128 zostały zaimplementowane oraz dostosowane na potrzeby rynku polskiego, europejskiego oraz arabskiego (Bliskowschodniego).

Zacznijmy od korzyści

Dzięki wizualizacji podpowierzchniowej, opartej na pomiarach detekcji elektromagnetycznej oraz badaniach georadarowych, firmy (inwestorzy, generalni wykonawcy, zarządcy) mogą lepiej zarządzać informacjami, które w innym przypadku byłyby trudne lub niemożliwe do uzyskania. W ramach wizualizacji dostarczane są dane dotyczące wszystkich sieci podziemnych, anomalii georadarowych oraz warstw geologicznych (jeśli jest to wymagane).

Posiadając te informacje, zarządzający obiektem mogą:

  • Redukować ryzyko uszkodzeń sieci – mając dokładne informacje, można świadomie wykonywać prace ziemne, wiedząc o obecności obiektów podziemnych w obszarze wykopu, co zapobiega ich uszkodzeniu.
  • Zapewnić bezpieczeństwo pracowników – znając położenie newralgicznych sieci takich jak gazociągi, ciepłociągi oraz przewody elektryczne, zmniejsza się ryzyko wybuchu, poparzeń oraz porażeń w czasie prac budowlanych.
  • Optymalizować koszty – dzięki posiadanym informacjom o obiektach podziemnych zmniejsza się ryzyko ich uszkodzenia, nie jest wymagana zmiana projektu w przypadku kolizji z inną siecią, co zmniejsza koszty związane z naprawą lub przeprojektowaniem.
  • Zwiększyć efektywność pracy – jeżeli w czasie prowadzenia budowy nie dochodzi do uszkodzeń sieci, ogranicza się liczbę wypadków, unika się niepotrzebnych przestojów, możliwe jest prowadzenie prac zgodnie z harmonogramem oraz zakończenie inwestycji w terminie.

Sprzęt kluczowy do detekcji podziemnych?

Dzięki zaawansowanemu sprzętowi, takim jak georadary Stream DP i DS2000 produkowane przez IDS pod marką Leica (grupa Hexagon) możliwe jest uzyskanie niezwykle precyzyjnych danych. Georadar Stream DP – (jedyny georadar tego typu w Polsce znajduje się w posiadaniu firmy SCAN 3D), posiada antenę o częstotliwości 600 MHz, która dzięki technologii EsT pozwala na osiągnięcie głębokości pomiaru nawet do 8 metrów w głąb gruntu. Zastosowanie anteny wielokanałowej pozwala na zbieranie danych w pasie o szerokości 80 cm. Odpowiednia konfiguracja anten, nie wymaga tworzenia siatki (tzw. Grid) w dwóch kierunkach, co znacząco zwiększa efektywność pomiaru. Model DS2000 – wyposażony w dwie anteny o częstotliwościach 250 oraz 700 MHz, co zapewnia pozyskiwanie danych wysokiej jakości do głębokości 6 m. Jest mniejszy od Stream DP, co pozwala na wykonanie pomiaru w trudniejszym terenie.

Georadary Stream DP i DS2000 w akcji. Źródło: zasoby własne firmy SCAN 3D

Oba te modele mogą być pozycjonowane w układzie współrzędnych geodezyjnych przy pomocy zarówno odbiornika GNSS jak również tachimetru zrobotyzowanego. Dane z obu radarów można zintegrować razem w programie IQMaps, w którym są one procesowane i interpretowane.

Źródło: zasoby własne firmy SCAN 3D

Równie ważne są urządzenia detekcyjne, którymi są detektory RD8000 i RD8100. W zestawach posiadają nadajniki sygnału Tx5 oraz Tx10. Detektor EML jest wykorzystywany jako uzupełnienie metody georadarowej.

Stosowanie detektorów EML umożliwia identyfikowanie oraz lokalizowanie przebiegu instalacji podziemnych. System detekcyjny zbudowany na zestawie Radiodetection z nadajnikiem oraz akcesoriami umożliwia detekcję wszystkich rodzajów infrastruktury podziemnej. Urządzenie umożliwia pracę w trybach pasywnych (radio, power, passive) oraz aktywnych, do których wykorzystywany jest pełny zestaw akcesoriów.

Źródło: zasoby własne firmy SCAN 3D

Pozostaje jeszcze nasz najmniejszy przyjaciel:

  • C-thrue – używany do inspekcji ścian, posadzek lub obiektów żelbetowych. W zasięgu do 80 cm wykrywane są zbrojenia, instalacje ścienne, pęknięcia lub pustki, ale też wiele niespodziewanych artefaktów zabetonowanych –przypadkowo lub nie 😉 – w ścianach i posadzkach.

Źródło: zasoby własne firmy SCAN 3D

Przebieg badań według metodyki PAS 128

  • Standard PAS 128 przewiduje cztery etapy badania, które zapewniają najwyższy poziom dokładności i niezawodności danych: Survey D – Analiza – polega na zebraniu informacji o badanym obszarze oraz badanych obiektach. Na podstawie analizy sporządzana jest mapa, która służy jako baza dla kolejnych etapów.
  • Survey C – Inspekcja w terenie – polega na porównaniu mapy powstałej w ramach Survey D z sytuacją w terenie. Wykonywany jest pomiar wszystkich elementów uzbrojenia terenu na powierzchni, a następnie porównanie wyników z mapą.
  • Survey B – Detekcja – najważniejszy etap pozyskiwania informacji o obiektach podziemnych. Wykonywany jest pomiar EML oraz GPR, mający na celu pozyskanie oraz zmapowanie informacji o wszystkich obiektach podziemnych w zakresie pomiaru.
  • Survey A – Weryfikacja – w ramach weryfikacji otwierane są wszystkie studnie w zakresie badania. W miejscach, gdzie należy dokonać dodatkowej weryfikacji wyników pomiarów georadarowych, wykonuje się odkrywki.

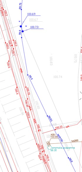
Błędne i nieaktualne mapy

Jednym z głównych wyzwań, z jakimi spotykamy się w naszej pracy, jest problem nieprecyzyjnych, nieaktualnych map geodezyjnych dostarczanych przez ośrodki geodezyjne. Szacuje się, że aż 40-50% map używanych do celów projektowych zawiera różnego rodzaju błędy lub braki, co stanowi istotne ryzyko dla bezpieczeństwa oraz planowania finansowego inwestycji.

Tego rodzaju nieścisłości mogą wynikać z kilku przyczyn, takich jak np.: przestarzałe dane, proces digitalizacji, błędy pomiarowe czy zmiany w terenie, które nie zostały uwzględnione w aktualizacji map. W praktyce prowadzi to do konieczności rewizji i weryfikacji dostarczanych materiałów, co przekłada się na wyższe koszty i wydłużenie czasu realizacji projektów..

Dlatego tak ważne jest, aby w procesie detekcji i kartografii podziemnej korzystać z nowoczesnych technologii oraz metod.. W dobie cyfrowej, gdzie dostęp do informacji w czasie rzeczywistym jest kluczowy, korzystanie z zaawansowanych technologii detekcyjnych staje się nieodzownym elementem nowoczesnego zarządzania infrastrukturą podziemną.

Rozbieżności pomiędzy przebiegiem rur wodociągowych; Źródło: zasoby własne firmy SCAN 3D

Brakująca studnia MH25, brakujące połączenie studni MH25-MH61 oraz drenaże od studni MH61; Źródło: zasoby własne firmy SCAN 3D

Produkty finalne i ich zastosowanie

W ramach prac detekcyjnych stosuje się wiele technologii pomiarowych, które dają różnego rodzaju dane. Przed przystąpieniem do prac terenowych przeprowadzana jest krótka rozmowa oraz ankieta z klientem, na podstawie której określane są potrzeby dotyczące wymaganych dokładności, budżetu oraz rodzajów produktów końcowych.

  • Modele 3D – flagowy produkt, sporządzany zarówno w formatach CAD, jak i IFC. Produkty te są zalecane klientom zarządzającym zakładami przemysłowymi oraz instalacjami miejskimi.
  • Mapy 2D – zalecane w sytuacjach, gdy badany teren nie jest duży, a spodziewana ilość sieci podziemnych jest mniejsza niż w przypadku zakładów przemysłowych lub centrów miast.
  • Oznaczanie instalacji na miejscu w czasie rzeczywistym – wykonywane w nagłych przypadkach, wiąże się z większym ryzykiem, ponieważ dane nie są procesowane i wymaga wieloletniego doświadczenia osoby nadzorującej badanie.

Źródło: zasoby własne firmy SCAN 3D

Podczas prac terenowych wykonujemy półprodukty, takie jak skany 3D studni i otoczenia, naloty dronowe, dokumentacje fotograficzne oraz video lub zestawienia tabelaryczne.

Ograniczenia technologii pomiarowych i warunki terenowe a jakość danych

Pomimo nowoczesnych rozwiązań technologicznych, precyzyjne pomiary infrastruktury podziemnej napotykają na wiele ograniczeń ograniczenń wynikających zarówno z charakterystyki technologii pomiarowych jak i warunków terenowych, które mogą wpływać na jakość i dokładność danych.

Poniżej znajdują się główne czynniki ograniczające:

  • Specyfikacja technologii pomiarowych: Na jakość pozyskiwanych danych mogą wpływać właściwości elektromagnetycznych ośrodka (gruntu), jego wilgotnośći czy niejednolita struktura. Może to prowadzić do ograniczenia zasięgu głębokościowego georadaru co w praktyce może prowadzić do pominięcia niektórych obiektów znajdujących się na większych głębokościach lub w trudniejszych warunkach terenowych.
  • Utrudniony dostęp do gruntu: Na terenach takich jak place budowy lub obszary o gęstej roślinności, georadar może mieć ograniczony dostęp. Materiały budowlane lub roślinność mogą uniemożliwiać przeprowadzenie pełnych pomiarów.
  • Współpraca z Ośrodkami Dokumentacji Geodezyjnej i Kartograficznej: Zmiany w zasobie często są kwestionowane, co wymaga dodatkowego wyjaśniania i argumentowania, wydłużając termin zakończenia prac.

Podsumowanie

Zaawansowane technologie detekcji podziemnej, takie jak GPR i standard PAS 128, są obecnie kluczowe dla efektywnego zarządzania projektami budowlanymi. Dzięki dokładnym mapom podziemnych sieci i anomalii geologicznych możliwe jest nie tylko zminimalizowanie ryzyka wypadków, ale także oszczędność kosztów oraz usprawnienie prac. Coraz większa świadomość branżowa i rozwój technologiczny będą sprzyjać dalszemu wdrażaniu tych innowacyjnych metod. Inwestowanie w rozwiązania oparte na metodzie PAS 128 staje się przyszłością bezpiecznego i efektywnego zarządzania przestrzenią podziemną, co z pewnością przełoży się na jeszcze lepsze standardy bezpieczeństwa i precyzji w budownictwie.

Ważne jest ciągłe budowanie świadomości oraz zmiany legislacyjne, które zaczną inspirować branżę do stosowania zaawansowanych technologii pomiarowych. Edukacja i szkolenia w zakresie nowych metod oraz standardów są fundamentem dla zwiększenia zrozumienia oraz akceptacji zaawansowanych technologii, takich jak georadary czy detektory elektromagnetyczne. Rozwój kompetencji pracowników oraz wzrost świadomości wśród inwestorów sprzyjają podejmowaniu świadomych decyzji inwestycyjnych i przyczyniają się do unikania kosztownych błędów.. Z kolei odpowiednie regulacje prawne mogą zminimalizować ryzyko związane z inwestycjami w infrastrukturę podziemną, zapewniając bezpieczeństwo publiczne i dbałość o środowisko.

Autor

Artur Pleśniarski

Szymon Bloch

Szymon Jabłoński